Peuplier noir Salicaceae
Taille : jusqu'à 20 à 35 m suivant les variétés
Floraison : Jan Fév Mars Avr Mai Juin Juil Août Sep
Oct Nov Déc
Fructification : Jan Fév Mars Avr Mai Juin Juil Août Sep
Oct Nov Déc
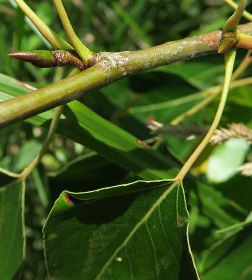
Description :
arbre dioïque, rhytidome précoce noirâtre, feuilles triangulaires à
losangiques, alternes, glabres et denticulées, bourgeons allongés,
pointus, à écailles visqueuses, chatons mâles rougeâtres pendants,
chatons femelles donnant un chapelet de fruits ovoïdes verts
Biotope et habitat : forêts alluviales, bords de cours d'eau, haies, cultivé
Principes actifs : huiles essentielles, flavonoïdes, salicosides
Parties employées et préparation : bourgeon ou feuille en infusion
Propriétés : diurétique, expectorant, antiseptique urinaire, sudorofique, vulnéraire
Indications : - voie orale : favorise l'élimination rénale (feuille), affections bronchiques aiguës bénignes (bourgeon)
- usage local (bourgeon) : affections dermatologiques, affections bronchiques aiguës bénignes
Statut : présent dans les quatre départements lorrains
Remarques : - le
charbon de bois, très utilisé autrefois comme antiseptique intestinal,
était souvent obtenu avec du bois de peuplier : c'est un bon absorbant
des gaz intestinaux et des toxines bactériennes indiqué dans les cas de
ballonnements, de diarrhées et d'intoxications alimentaires
- la variété italica (Peuplier d'Italie), à branches fastigiées lui donnant un port élancé, est un cultivar ancien (XVIIIème siècle) de Populus nigra, très utilisé en alignement le long des routes et des canaux
- Populus alba Peuplier blanc se distingue par le revers de ses feuilles pubescent
et blanchâtre et par son écorce d'abord grise avec des lenticelles
losangiques, se crevassant et devenant noirâtre ; il est rare en
Lorraine
- Populus tremula Peuplier tremble est une espèce héliophile pionnière à croissance rapide : écorce identique à celle de Populus alba,
feuilles jeunes pubescentes, feuilles âgées glabres, arrondies,
crenélées, tremblant au moindre courant d'air (pétiole long, mince et
aplati) ; c'est le peuplier le plus commun de Lorraine et peut-être le
seul qui y soit vraiment indigène
- Populus x canescens Peuplier grisard est un hybride fixé entre P. alba et P. tremula, parfois considéré comme une espèce
- Populus x generosa Peuplier hybride interaméricain entre P. trichocarpa et P. deltoides dont plusieurs clones sont cultivés pour leur bois est parfois introduit dans les forêts alluviales
- Populus balsamifera Peuplier baumier est un autre clone cultivé.
Populus
alba
Populus
tremula
Populus
x canescens
Populus
x generosa
Populus balsamifera
